1910 - 1940: California-Michigan Land & Water Company; Michillinda Tract
Source: California Secretary of State Website
The California-Michigan Land & Water Co. was incorporated on December 23, 1910 as a development company for land in the Chapman tract. As required by the California Railroad Commission (modern day: Public Utilities Commission), a water system was installed prior to the sale of lots, and in 1913 the company became fully-functioning water utility provider.

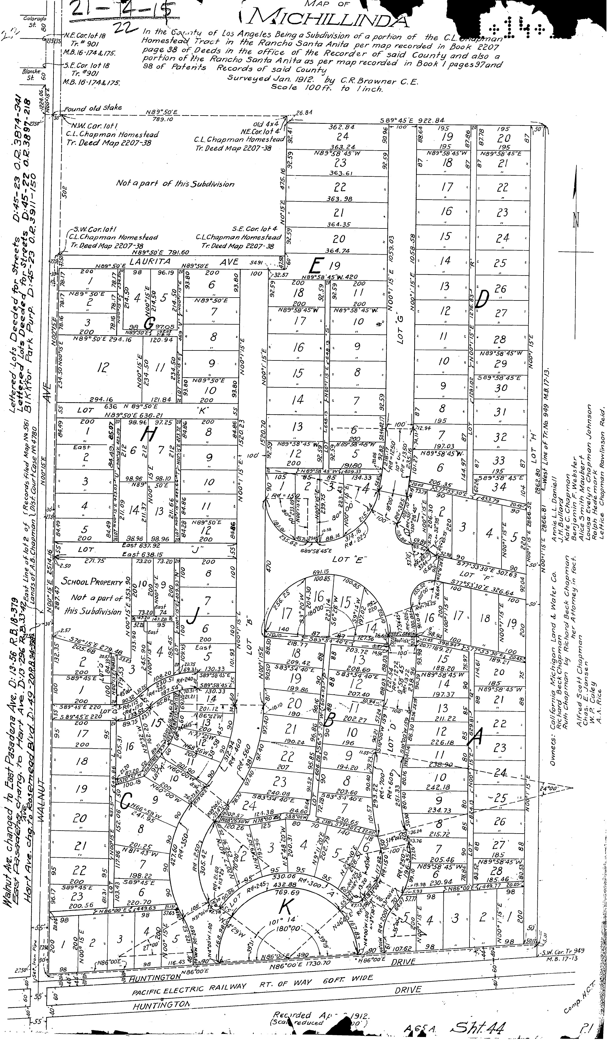
Survey of the Michillinda Tract and subdivided lots, c.1912
Source: Michillinda Park Association
In 1912, the Michillinda subdivision was created on the Heirs Of Catherine L. Chapman land, as well as additional land from the A.B. Chapman tract. The name Michillinda originated as a combination of Michigan / Illinois / Indiana, and there were 167 roughly rectangular-shaped residential lots, as well as a system of privately-owned roads & alleyways, and a park. The tract was indicated as being collectively owned by:
| California-Michigan Land & Water Co. | Richard Beck Chapman | Ruth Chapman |
| Alfred Scott Chapman | Kate C. Chapman | Louisa Evelyn Chapman Johnson |
| Lottie Champan Rawlinson Reid | Charles E. Jansen | W.P. Caley |
| A.B. Rose | Annie L.L. Daniell | J.H. Bullard |
| Benjamin F. Webster | Alice Smith Maubert | Ralph Hedemark |

Grant Deed for the sale of Michillinda Tract Block E / Lot 7, c.1922
Source: Michillinda Park Association
A 1922 Grant Deed recorded the initial sale of Michillinda Tract Block E / Lot 7 (modern day 607 Woodward Blvd.) by the California-Michigan Land & Water Co. to a Mrs. A.M. VanPatten. The deed contains language for a covenant, providing restrictions applying to ownership of the lot. The covenant is said to “run with the land,” meaning that it’s applicable to all future owners of the lot.
While the covenant stipulates some of the restrictions ceased after 1949, the roads, alleyways and park were stipulated to be the collective property of the lot owners in perpetuity, specifically via ownership of shares to be issued by the "Michillinda Improvement Company." However, the LA County Business Entities Database does not contain any record of a Michillinda Improvement Company having been incorporated.
In 1931 the adjacent water systems of C.J. Backus & Co and the East Pasadena Water Company were combined into California-Michigan, and property assets were separated. Operating from 3725 Mountain View Ave., Pasadena, the newly-reorganized East Pasadena Water Company would go on to become a service provider to over 3000 homes in Pasadena & Arcadia. The California-Michigan Land & Water Co. was divested of its water assets, but as of December 2021 continues to hold and manage property in the subdivision under the ownership of Anton Garnier.